
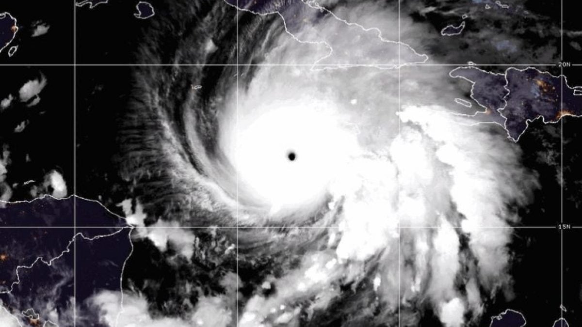
L'uragano Melissa sta per toccare terra in Giamaica come uragano di categoria 5, con venti previsti fino a 280 km/h e piogge torrenziali con accumuli stimati tra i 380 e i 762 mm. Secondo quanto riportato dal National Hurricane Center, al momento Melissa si sta muovendo in direzione nord-est verso la costa caraibica, a una velocità di 11 km/h: secondo le previsioni, l'occhio del ciclone dovrebbe colpire l'isola nel primo pomeriggio, anche se le fasce più esterne dell'uragano stanno già provocando danni. Melissa, quindi, si classifica come l'uragano più violento a colpire la Giamaica in epoca strumentale, ossia da quando esistono le rilevazioni.
Nel frattempo, sono già iniziate le evacuazioni di massa e almeno 7 persone sono morte, di cui 3 in Giamaica, 3 ad Haiti e 1 nella Repubblica Dominicana: il bilancio delle vittime, però, rischia di essere molto più alto, considerando che il Paese caraibico non è mai stato colpito da un uragano superiore a categoria 4 e che l'ultima volta che un ciclone ha toccato direttamente l'isola è stata 13 anni fa, con l'uragano Sandy. Nel corso delle ultime 24 ore l'uragano non si è indebolito, ma, al contrario, ha mantenuto una potenza pari alla categoria 5 (la massima), il che lo ha reso l'uragano più forte finora registrato in tutto il 2025 e uno dei più violenti della storia, con un potenziale letale persino superiore all'uragano Katrina.
Secondo gli ultimi aggiornamenti, all'Aeroporto Internazionale di Kingston sono state rilevate raffiche di vento fino a 93 km/h: mentre in Giamaica sono stati aperti più di 800 rifugi e il Primo ministro Andrew Holness ha avvertito di danni particolarmente significativi per 1,5 milioni di abitanti, gli altri Stati caraibici come Cuba (dove sono state evacuate 120.000 persone), Bahamas, Santo Domingo e Haiti si preparano all'impatto, atteso tra martedì pomeriggio e mercoledì mattina.
Come si è formato e dove si trova ora l'uragano Melissa: la traiettoria e il live tracker
Melissa si è originato lo scorso 21 ottobre come tempesta tropicale al largo di Aruba: nel giro di pochi giorni, si è rapidamente evoluto prima a un uragano di categoria 1 sulla scala Saffir-Simpson, una volta raggiunto il Mar dei Caraibi, e poi diventato un uragano di categoria 5, la più violenta.
Tra l'altro Melissa, che ora si muove a una velocità di 11 km/h, sta seguendo una rotta insolita verso la Giamaica, come confermato dal live tracker: generalmente, gli uragani più intensi colpiscono il Paese caraibico avvicinandosi da est, mentre in questo caso il ciclone sta per toccare terra da sud. Data la traiettoria, i forti venti (stimati fino a 28o km/h) spingeranno l'acqua direttamente sulla costa meridionale dell'isola, dove diverse infrastrutture essenziali, come il porto di Kingston o l'aeroporto internazionale Norman Manley, si trovano appena sopra il livello del mare. Al tempo stesso, la velocità di movimento piuttosto ridotta fa sì che l'uragano stazioni per più tempo sopra la stessa area, provocando maggiori danni. Dall'altro lato, però, questo ha permesso alla popolazione di avere il tempo per evacuare.
Nelle ultime 24 ore, poi, l'uragano non si è indebolito, a differenza di quanto avvenuto in precedenza con i due uragani che hanno raggiunto la categoria 5 quest'anno, ossia Humberto ed Erin: entrambi, infatti, avevano hanno mantenuto la massima intensità per circa 12 ore, finendo poi per indebolirsi nelle ore successive.
Secondo il National Hurricane Center, Melissa potrebbe persino aumentare di intensità: la pressione minima centrale della tempesta è infatti scesa da 909 millibar (registrati lunedì sera) a 901 millibar di questa mattina: in generale, minore è la pressione e più forte sarà il ciclone. Per avere un paragone, la pressione più bassa registrata durante l'uragano Katrina, che nel 2005 devastò la Louisiana, è stata di 902 millibar. Di conseguenza, Melissa entra automaticamente nella classifica dei 10 uragani più forti della storia, posizionandosi all'ottavo posto.

Secondo le previsioni, il passaggio dell'uragano Melissa è atteso tra martedì pomeriggio e mercoledì mattina sull'isola di Cuba, dove 120.000 persone sono già state evacuate, e sulle Bahamas, dove già è stata attivata un'allerta uragano. Nei prossimi giorni, Melissa proseguirà lungo la sua traiettoria indebolendosi, secondo le previsioni, a uragano di categoria 2 una volta giunto sopra le isole Turks and Caicos e poi declassando a tempesta tropicale.
Perché Melissa è il ciclone più forte registrato sulla Terra nel 2025
Al momento, quindi, il NOAA (National Oceanic and Atmospheric Administration) ha emesso un'allerta uragano per il rischio di “venti catastrofici, inondazioni improvvise e mareggiate” in tutta l'isola della Giamaica. Come accennato, i venti potrebbero arrivare a 280 km/h, con accumuli di pioggia fino a oltre 760 mm nel giro di poche ore.

Oltre al vento, però, la minaccia più grande è rappresentata dal rischio di mareggiate: secondo il National Hurricane Center sono infatti attese onde di tempesta tra i 2,7 e i 4 metri lungo la costa meridionale dell'isola, che potrebbero causare inondazioni e frane nell'entroterra collinare, isolando intere comunità. Le autorità hanno esortato la popolazione a dirigersi verso i rifugi dato che, sebbene le infrastrutture giamaicane nelle aree urbane siano migliorate nel corso degli anni, gli insediamenti rurali restano inadeguati per affrontare la tempesta.
Vista la sua potenza, l'uragano Melissa è il ciclone atlantico più violento di tutto il 2025, ma anche il più forte mai registrato in epoca strumentale nella storia della Giamaica. Pur essendo nel pieno della stagione degli uragani, che inizia il 1° giugno e termina il 30 novembre, Melissa si è rafforzato molto rapidamente anche a causa delle alte temperature delle acque nel Mar dei Caraibi, un elemento che funge da vero e proprio carburante per le tempeste tropicali che evolvono successivamente in uragani, i quali assorbono l’energia termica dall’acqua, diventando più umidi e più forti.