
L'uragano Melissa di categoria 5 si è abbattuto sulla costa della Giamaica, vicino a New Hope poco dopo le 12:00 locali (le 18:00 in Italia) con venti sostenuti fino a 295 km/h, così come riportato dal National Hurricane Center. Il landfall di Melissa è probabilmente il più violento registrato nell'Oceano Atlantico, lasciando 240.000 persone senza elettricità e minacciando circa un milione e mezzo di persone stando a quanto Stima la Croce Rossa.
Nonostante la sua potenza, la tempesta si è spostata nel Mar dei Caraibi con relativa lentezza (attorno ai 10 km/h), impiegando diverse ore prima di abbattersi direttamente sull'isola: solitamente, infatti, più sono calde le acque superficiali e più l'uragano può procedere rapidamente.
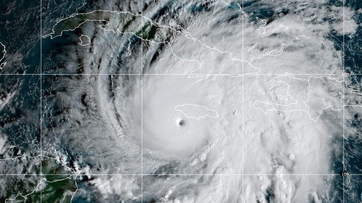
Attorno alle 14:00 (ora locale, le 20:00 in Italia) del 28 ottobre, l'occhio del ciclone ha raggiunto l'entroterra giamaicano perdendo leggermente di intensità, con le raffiche di vento dapprima scese a una velocità di 265 km/h e poi ulteriormente diminuiti a 257 km/h: al momento, però, il ciclone resta di categoria 5.
Melissa si conferma l'uragano più violento del 2025, uno dei più intensi registrati nel Mar dei Caraibi e sicuramente il più violento che abbia mai colpito la Giamaica in epoca strumentale. Ora il ciclone atlantico si dirigerà verso Cuba, dove sarà declassato a categoria 4 pur mantenendo gran parte della sua violenza.
I danni provocati finora dall'uragano Melissa, il più forte del 2025
Il landfall di Melissa, ossia il momento in cui l'uragano ha toccato la terraferma, è stato il più violento mai registrato nell'Oceano Atlantico: finora il record era in mano all'uragano “Labor Day” del 1935.
Le autorità hanno confermato che almeno 1,5 milioni di abitanti giamaicani sono a rischio, mentre sono state prese «tutte le precauzioni possibili per garantire che tutti i cittadini siano al sicuro o che si trovino in rifugi certificati con provviste sufficienti per superare la tempesta». Più di 240.000 persone sono rimaste senza elettricità e almeno il 26% delle reti mobili risulta offline, principalmente a causa delle interruzioni di corrente. Secondo le previsioni del Servizio Meteorologico della Giamaica, le zone centrali dell'isola potrebbero registrare fino a 76 cm di pioggia nei prossimi due giorni.
A differenza degli altri due uragani di categoria 5 di quest'anno, Humberto ed Erin, Melissa non si è indebolito nel corso delle ultime ore e, al contrario, si è rafforzato, con venti sostenuti che ora sono previsti per 297 km/h. Secondo gli ultimi aggiornamenti del NOAA, Melissa potrebbe diventare il secondo uragano più violento nella storia dell'Oceano Atlantico, confermandosi come il peggiore mai registrato nel Mar dei Caraibi. La pressione centrale minima, invece, è scesa fino a 892 millibar, il che rende Melissa il terzo uragano più “profondo” mai osservato nell'Atlantico, con un potenziale letale nettamente superiore rispetto all'uragano Katrina del 2025 o dell'uragano Beryl del 2024.
Le autorità locali hanno allertato la popolazione definendo la velocità del vento «pericolosa per la vita» e richiedendo agli abitanti di rifugiarsi in strutture in cemento armato lontane dalle coste o dalle colline, per evitare di essere travolti dalle mareggiate o da eventuali frane.
Dove si dirige ora l'uragano Melissa: la traiettoria dei prossimi giorni
Al momento Melissa si sta muovendo in direzione nord-est a una velocità di 14 km/h. Nel corso delle prossime ore, l'uragano si abbatterà sulla zona orientale di Cuba, provocando danni anche nei Paesi caraibici limitrofi, tra cui Haiti, Repubblica Dominicana e Bahamas, dove però non toccherà terra, come visibile nell'immagine qui sotto e nel live tracker.

In generale, tutta la costa caraibica è in allerta: a Cuba è in vigore un'allerta uragano per le province di Granma, Santiago de Cuba, Guantanamo e Holguin e più di 600.000 persone sono state evacuate per l'arrivo di Melissa, previsto per domani. Anche alle Bahamas e alle Isole Turks e Caicos è stata emanata un'allerta per i potenziali danni causati da venti catastrofici e inondazioni lampo, mentre ad Haiti e nella Repubblica Dominicana è attivo un avviso per tempesta tropicale.
Perché l'uragano Melissa è diventato così violento in così poco tempo
Nel corso dello scorso fine settimana, Melissa è passato in sole 18 ore da “semplice” tempesta tropicale, con venti a circa 100 km/h, a uragano di categoria 4, con venti sostenuti a 250 km/h, per poi arrivare alla categoria 5 (la massima nella scala Saffir-Simpson). Un tasso di crescita impressionante che ha portato Melissa a diventare uno dei cicloni più violenti mai osservati nell'area caraibica da quando le registrazioni sono iniziate 174 anni fa.
Il motivo principale, come è intuibile, sta nelle alte temperature superficiali nel Mar dei Caraibi, che attualmente raggiungono i 33 °C, almeno 1,5 °C al di sopra della media attesa per fine ottobre. La deviazione nella traiettoria del ciclone, che lo ha portato verso nord prima di entrare nel Golfo del Messico, ha portato la depressione a nutrirsi dell'enorme energia termica del Mar dei Caraibi. A questo si aggiunge un'aria particolarmente umida, che ha reso Melissa pericoloso non solo per i fortissimi venti ma anche per l'enorme quantità di pioggia che si è rivelato in grado di rilasciare, con picchi registrati finora di oltre 760 millimetri nell'arco di appena poche ore.
La Giamaica, insomma, si è trovata “nel posto sbagliato nel momento sbagliato” poiché giace proprio lungo la traiettoria dell'occhio del ciclone nel momento in cui questo è più intenso. A questi elementi si aggiungono la relativa compattezza del ciclone (che gli consente di scaricare la sua energia in un'area relativamente contenuta) e la lentezza con cui procede il suo occhio (che se da un lato hanno permesso alla popolazione di evacuare le proprie abitazioni per tempo, dall'altro fa in modo che al suo passaggio l'uragano scarichi la propria energia per un tempo maggiore).